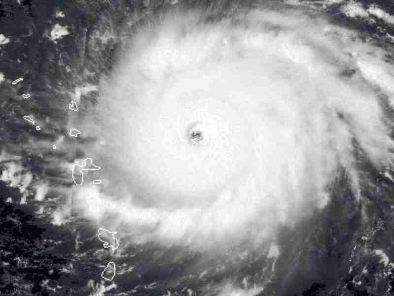
Ahora puedes leer el artículo de La Voz del Muro sobre Huracán Irma.. Uno de los mas poderosos de los últimos tiempos….
Buenas tardes unnies del caribe es bastante nuestra preocupación por los efectos de los cambios climáticos que están ocurriendo en el mundo actualmente y es preciso estar alerta sobre el Huracán Irma… Que azota a toda la zona del Caribe y costas de EEUU….
Huracán IRMA
Con vientos máximos…





